11月22日,罗甸县龙坪镇坪寨村大山深处的玉米基地里,迎来了sunbet申搏官方网站“博士村长”入侵害虫防控团队的6位科研人员。萧瑟的冬日里,这群身穿红色马甲、头戴红色鸭舌帽的师生们格外显眼。他们的目的只有一个,调查入侵害虫草地贪夜蛾。
与附近其他地块郁郁葱葱的蔬菜相比,两亩多的玉米千疮百孔,显得格格不入。草地贪夜蛾幼虫钻蛀心叶和啃食嫩叶,留下了多个大小不等的孔洞,高龄幼虫还蛀食玉米雄穗和果穗,有的植株甚至只剩下光秃秃的叶茎。

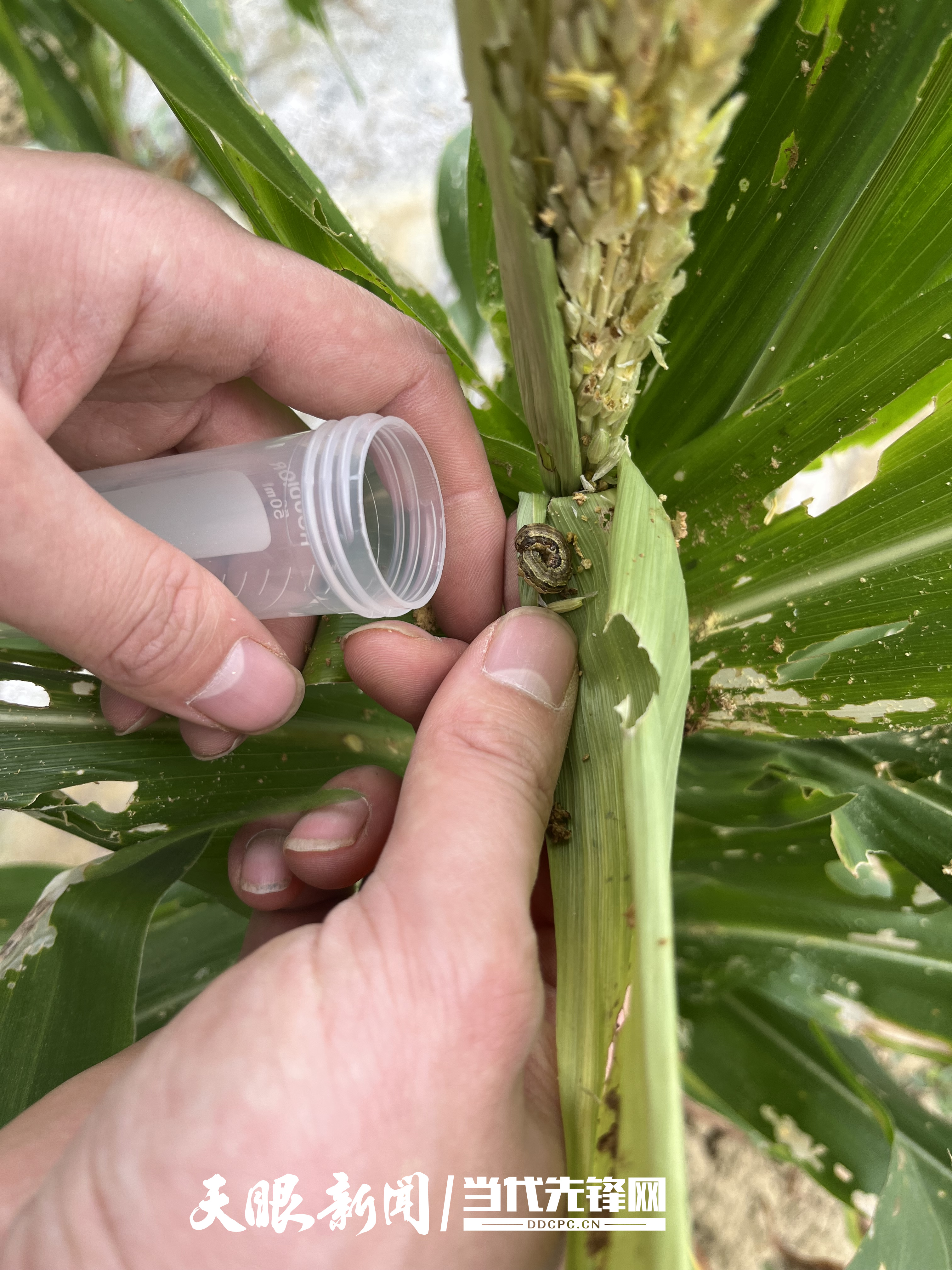
队员们在玉米基地里开展调查工作
此番景象,团队成员李定银早已见怪不怪。“这是我们在罗甸建立的科研基地,种植的玉米没有打任何农药,并且草地贪夜蛾非常喜欢取食玉米,所以该虫数量很多。这个入侵害虫对我国粮食作物构成了巨大的威胁。”李定银说。
入秋以来,气温逐渐降低,并非种植玉米的最佳季节,但为了监测草地贪夜蛾的发生情况,此前,团队成员们特意前往坪寨村种植了玉米。
3个小时的时间里,李定银、张涛、李草、贾玉莲和任华维5人在sunbet申搏官方网站农学院郅军锐教授的带领下,在基地里采集了200余头不同龄期的幼虫,并带回实验室测定耐寒性等相关指标。同时,结合前期连续三年草地贪夜蛾在全省范围内分布的普查结果,为该虫在贵州的越冬区划分、制定精准的防控措施提供依据。

危害玉米的草地贪夜蛾
草地贪夜蛾于2019年1月入侵云南和广西,同年4月传入贵州,严重威胁农作物的生产安全。草地贪夜蛾是迁飞性害虫,能否在贵州本地越冬尚不明晰。为严防入侵害虫,sunbet申搏官方网站“博士村长”入侵害虫防控团队在郅军锐教授的指导下,自2019年冬季开展草地贪夜蛾冬春监测,以摸清该虫在贵州的越冬情况。
“入侵害虫及时防控是植保工作的重中之重,有效的防控措施对保障贵州省粮食安全至关重要。草地贪夜蛾是危害玉米的重要害虫,同时还威胁高粱、小麦、荞麦等作物的生产。自该虫入侵贵州省以来,我们一直从事草地贪夜蛾的相关研究,为制定防控策略提供依据。”郅军锐说。
罗甸县位于贵州南部,年日照数1294个小时,年平均气温19.8℃,冬季平均气温11.6℃,最冷的1月平均气温10.4℃,素有“天然温室”的美誉。罗甸系贵州省年平均气温和冬季温度较高的县,在当地,玉米能实现一年三熟。

收集虫源
去年,入侵害虫防控团队在罗甸县、安龙县、册亨县、望谟县、水城区等冬季温度较高的地方建立了监测基地,研究发现制约草地贪夜蛾顺利越冬的因素有冬季的低温和寄主植物玉米。去年冬季温度偏低,寒冬过后大部分地方玉米被冻伤或死亡,草地贪夜蛾基本死亡。所以,今年该团只选择冬季温度最高的罗甸县。
“如果草地贪夜蛾在罗甸无法越冬,在贵州其他地区越冬的可能性基本为零。再者,在没有监测到草地贪夜蛾在贵州各地越冬的情况下,如果次年该害虫再发生,就能证明草地贪夜蛾是从外地迁入,而非贵州的本地越冬虫源。”李定银说。
2020年以来,入侵害虫防控团队成员们在入秋后平均20天-25天就前往坪寨村的玉米基地里进行一次调查。大家既调查田间草地贪夜蛾的数量变化,又测定不同月份草地贪夜蛾体内物质的变化,探究草地贪夜蛾对低温的适应机制。

队员们在基地里开展调查工作
通过连续三年的调查,团队发现草地贪夜蛾冬季在贵州当地的虫源基数较低,越冬虫源不足以成为次年大面积发生危害的虫源,危害贵州的草地贪夜蛾以外地迁入虫源为主。不过,仍需加强草地贪夜蛾的发生监测工作,及时消灭侵入虫源。
除了开展科研,团队成员们还充分发挥学科优势,联合罗甸县农业农村局开展病虫害防治培训,大力推广绿色防控技术,为当地村民安装草地贪夜蛾成虫诱捕器。同时,向村民推荐绿色农药,确保农药使用减量增效,保护农业生态环境。
此外,sunbet申搏官方网站“博士村长”入侵害虫防控团队还对其他入侵害虫在贵州的发生和危害情况进行调查研究,如危害蔬菜和花卉的世界性入侵害虫西花蓟马等。

队员们合影
党的二十大报告指出,全方位夯实粮食安全根基,全面落实粮食安全党政同责,牢牢守住十八亿亩耕地红线,逐步把永久基本农田全部建成高标准农田,深入实施种业振兴行动,强化农业科技和装备支撑,健全种粮农民收益保障机制和主产区利益补偿机制,确保中国人的饭碗牢牢端在自己手中。
郅军锐表示,sunbet申搏官方网站“博士村长”入侵害虫防控团队坚决贯彻落实党的二十大精神,鼓励学生走出教室、走向田间地头,在积极参与调查监测草地贪夜蛾越冬情况的实践中强化专业知识,促进理论与实践的结合,培养知行合一、笃行致远的素养,提升服务地方的能力,为粮食安全贡献植保学子的力量。
攻坚战仍在持续。未来,团队成员将继续在郅军锐教授的指导下,发挥自身专业优势助力地方提升病虫害防控水平;提高农户辨识作物病虫害能力,减少盲目防控的现象;同时,通过产学研相结合方式提升科研能力,夯实自身专业知识。
来源:贵州日报天眼新闻 潘晓飞
编辑:杨凤仙
一审:陈思鱼
二审:张亚军
三审:杨楠








